Table of Contents
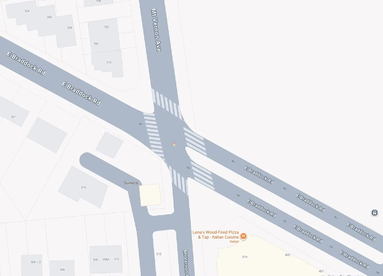
A pedestrian was struck by a vehicle Saturday afternoon at the intersection of Mount Vernon Avenue and East Braddock Road—one of three major intersections the city's Braddock Road Corridor Improvements Project would redesign—as opponents and supporters of the project debate whether the corridor requires safety upgrades.
The crash occurred at approximately 4:05 p.m. April 4, according to the Alexandria Police Department. The pedestrian, an adult male, sustained non-life-threatening injuries and was transported to the hospital for treatment.
The driver remained at the scene and was cited for Failure to Pay Full Time and Attention, police said. The intersection was blocked for approximately two hours during the investigation.
The Mount Vernon/Braddock intersection is one of three intersections where the Braddock Road project would consolidate turn lanes and create shorter pedestrian crossings. The Traffic and Parking Board voted 6-0 on February 24 to approve the project, which opponents have appealed to City Council.
At the February 24 hearing, city staff presented data showing 17 crashes on the Braddock Road corridor between 2019 and 2023, resulting in 8 injuries. A pedestrian was killed at the intersection of Braddock Road and Commonwealth Avenue in 2015.
Opponents of the project have organized under the name "Save Braddock Road" and argue in yard signs and online materials that "Braddock is already safe between Russell and Mt. Vernon" with "only 6 accidents since 2017 (with 71 west of Russell Road)" and "no bicycle or pedestrian accidents during that time."
However, city data presented at the February 24 hearing shows 17 crashes between 2019 and 2023 on the corridor, resulting in 8 injuries. One crash involved a pedestrian. The Saturday crash marks another pedestrian incident at one of the project intersections.
Supporters organizing as "Better Braddock Road" have distributed materials emphasizing that the corridor "feels so unpleasant or unsafe that very few people will bicycle there" and that a pedestrian was killed at Braddock and Commonwealth in 2015. Their materials note that "51-56% of people are interested in biking but concerned" about safety.
The approved project would create shorter crossing distances at the Mount Vernon/Braddock intersection through what city staff call a "compact intersection" design, consolidating turn lanes and reducing the distance pedestrians must walk through traffic.
City Council will hold a public hearing May 16 on the appeal of the Traffic and Parking Board's decision. Opponents have launched an organizing campaign that includes an online petition with more than 936 signatures, yard signs, and letters from two churches.
The Alexandria Police Department did not provide additional details about the crash circumstances, including whether the pedestrian was in a crosswalk or other specifics about how the collision occurred.
More on the Braddock Road Corridor Improvements Project



















